Welcome to ActonBridge.Org Strawberry Lane Page

Edition of 4. July 2017.

Please note that views expressed here are not necessarily those of Acton Bridge Parish Council.

This page of the Acton Bridge website discusses the several proposed developments on the field between Hill Top Road and Strawberry Lane.


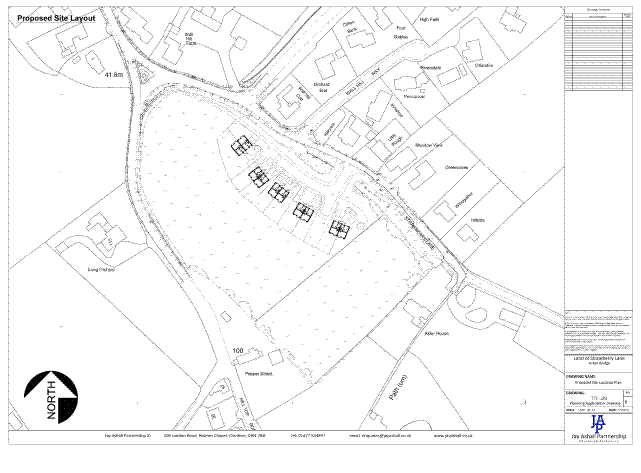
July 2017 - the Application 16/05040/FUL has been updated with a new location drawing, still showing one house in the same sized plot, but moved slightly closer to the adjacent property, Alder House.

May 2017 - a further application on the same site and with the same reference, 16/05040/FUL, but this time for one "affordable dwelling" in the corner of the plot. As before, details can be seen and comments made on-line here (you may have to key in the reference number). The map on the right is reproduced from the new (April 2017) application documents for identification.

Previously on this page (5. December 2016)...

Yet another Planning Application has been submitted by the Jay Ashall Partnership on behalf of Mrs J. Nicholas to Cheshire West and Chester Council for this contentious Green Belt site, this time for three "affordable" houses, but (from our interpretation of the proposed site layout) with a clear possibility of expansion of the development later.

The new Application is CWAC Ref. No: 16/05040/FUL, and can be viewed by clicking on this link to the CWAC website - click on "Documents" tab, "View associated documents", and download them (the site layout etc are PDF files).

The Application was discussed by Acton Bridge Parish Council on Monday 5. December, and 11 of the most closely affected residents attended (in addition to the Parish Councillors). Several of those present spoke of their concerns, which will be incorporated into the Parish Council's formal response to Cheshire West and Chester Council. On a show of hands, those wishing to see the Parish Council recommend refusal of the application were unanimous, with no-one supporting it.


July 2017 Proposed Layout

May 2017 Proposed Layout
The images below show the layout plan for the previous (2015) application, and a photo of the proposed Green Belt site, which is productive farmland.

After many submissions from concerned residents and the Parish Council, the previous Planning Application (15/01882/FUL) was REFUSED by Cheshire West and Chester Council. The Officer's Report has now been published online, on the CWAC website - click on "Documents" tab, "View associated documents", and then "Officer Report". The results and analysis of the "Affordable Housing" survey carried out by NEMS on behalf of Jay Ashall have also been published - you can find these and other details of the application on the CWAC website.


Earlier content...

Acton Bridge Parish Council discussed the application as a special Agenda item at its regular meeting on Monday 1. June 2015, and about 60 residents came along (on a very wet and windy evening) to make their views known. The Parish Council has now published its letter of objection which you are invited to refer to when constructing your own response. Please don't just copy and paste, though, or it won't be regarded as original.

Concerned residents filling the Parish Room for the meeting. We kept having to put more chairs out

It was soon clear from the quality and variety of residents' questions addressed to the Parish Council that they had come to the meeting thoroughly familiar with the application and the planning context. Questions and comments included

Despite the meeting's having been advertised on the village website and by leaflets, no one seemed to be present to represent the Applicant. To close this public session of the meeting, an informal show of hands was proposed to evaluate the extent of objectors versus supporters in the audience, and objections were "nem con". The meeting continued with the business of the ordinary Parish Council Agenda.


The Cheshire West and Chester Application Reference is "15/01882/FUL | Construction of 10 new dwellings | Land Adjacent Strawberry Lane Acton Bridge Northwich Cheshire" and details of the proposed development can be seen on the CWAC website, here, or by typing "http://tinyurl.com/ab01882" into your browser (though you may find it very slow to respond).

You can submit a comment online, by clicking on the "Comments" tab on the CWAC page linked above (and registering, if you have not done so already); by e-mail to planning@cheshirewestandchester.gov.uk ; or in writing to Development Management, 4 Civic Way, Ellesmere Port CH65 0BE, quoting the Reference 15/01882/FUL.

Jay Ashall Associates (or Partnership), working on behalf of Mr Geoff Nicholas, have put forward various plans for Acton Bridge in the past, and these have been roundly rejected by parishioners, who consider the development of this open farmland to be entirely at odds with the "washed over" Green Belt status of the village, and an unwanted and unnecessary intrusion into it, threatening a severe loss of amenity.

This is by no means the first proposal for development on this site. In addition to the large-scale development referred to in the next paragraph, there was an application (Planning Application Ref. No: 14/00930/FUL | Land Adjacent To Alder House, Construction of Two New Dwellings) which was refused by CWAC and not Appealed. Between 40 and 50 residents attended the extended Parish Council meeting on 7. April 2014 to show the strength of their feelings and to endorse the Parish Council's recommendation that the Application be refused.

There is no reason to suggest any difference now, except that there have been alarming precedents set for "Infill" plots being consented on Appeal to the Planning Inspectorate, which have recently been seized on by other developers (though with mixed success). The Strawberry Lane development could never be regarded as Infill, but the timing of it suggests that it has been encouraged by these precedents.

On a previous occasion, a special public meeting was held in Acton Bridge Parish Rooms on 5. October 2011, attended by dozens of residents. Mr Jay Ashall made a presentation of plans for a large number of houses, practically filling the entire field. The proposals included a bowling green (which the village already has), a pavilion / club house (we already have the Parish Rooms), and a children's play area (which the village already has). His intention was to feed back opinions to the Nicholas family, but the consensus of the villagers who attended the meeting could be summarised as "under-researched, and completely inappropriate". There were such strong and vociferous objections that the application was not proceeded with.

A few of the many specific points raised at the 2014 meeting included :

These points are equally relevant today. Watch this space!


Site directory E-mail address Click on the house for ActonBridge.Org Home Page Home page Website © Copyright
[Site directory] [E-mail address]